中卫鑫华200MW400MWh储能项目公示
项目简介:为充分发挥市民在城乡规划管理中的作用,维护市民对城乡规划的知情权、监督权,提高城乡规划的管理水平,现将中卫鑫华科技有限公司中卫鑫华200MW/400MWh储能项目规划设计方案予以公示。
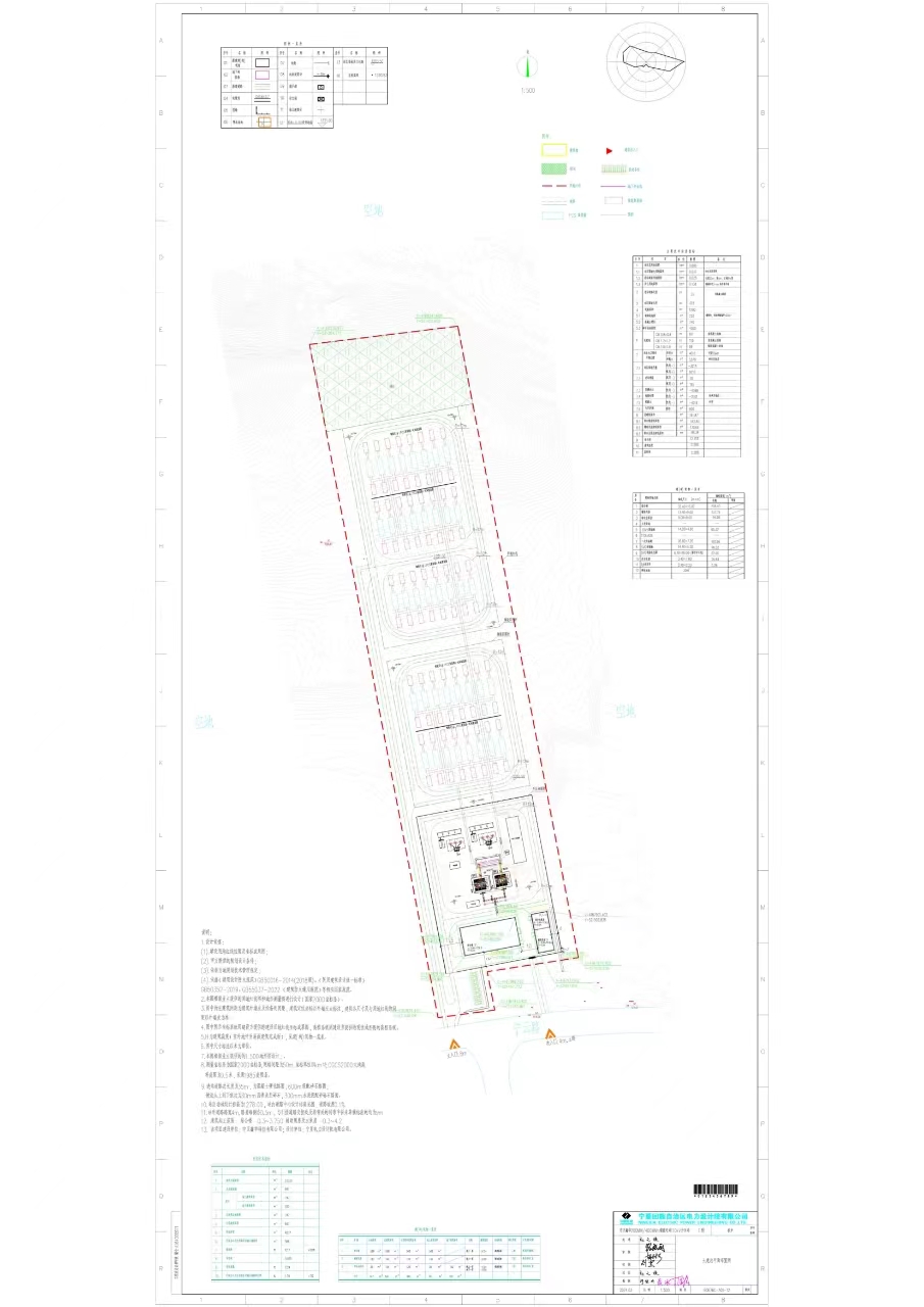
公示内容:项目用地面积747平方米,容积率0.025,建筑系数2.24%,绿地率12.7%,主要建设综合楼等。 如有异议,请在公示期间提出意见与建议。
建设单位:中卫鑫华科技有限公司
设计单位:宁夏回族自治区电力设计院有限公司
建设地点:中卫工业园区
工程名称:中卫鑫华200MW/400MWh储能项目
公示单位:宁夏中卫工业园区管理委员会
联系地址:中卫工业园区
联系电话:0955-8813755
公示时间:2024年3月19日至3月27日




附件下载:
扫一扫在手机上查看当前页面

宁公网安备64050202000082号

